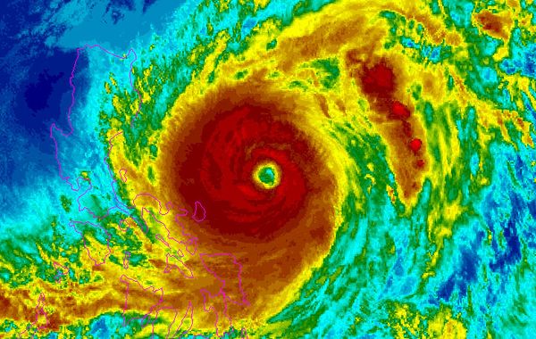
KUALA LUMPUR, April 20 — The Malaysian Meteorological Department (MetMalaysia) has issued an advisory on typhoon Surigae which is located 1,401km northeast of Sandakan, Sabah.
In a statement today it said the typhoon is about 522km southeast of Luzon in the Philippines and that based on the observation made at 11am today, winds are blowing in a north-northwest direction at a speed of 6km per hour and could increase to a maximum 176km per hour.
MetMalaysia added that the typhoon won’t have a significant effect on the country.
— Bernama








